€ 57 500
garagebox te koop
Zeebrugge
8380
Mercatorstraat
3 box21
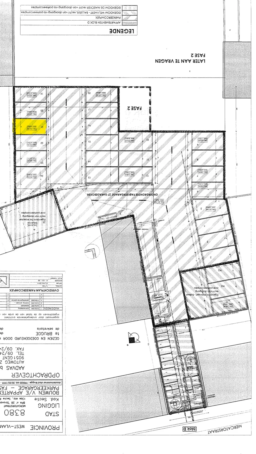
Grote garagebox nr 21 gelegen in de Mercatorstraat te Zeebrugge (strandwijk). De box bevindt zich in een garagecomplex met vooraan automatische poort.
garagebox
breedte: 2.70
lengte: 5.70
Algemeen
| Adres: | Mercatorstraat 3/box21 Zeebrugge |
| Referentie: | VKZ496 |
| Type: | Garage box |
| Beschikbaar vanaf: | In overleg |
| Bouwjaar: | 2002 |
Wettelijke gegevens
| Niet geïndexeerd K.I.: | € 89 |
| Kadastrale Nummers: | 0637/h11 |
| Stedenbouwkundige vergunning: | Ja |
| Voorkooprecht: | Neen |
| Verkavelingsvergunning van toepassing: | Neen |
| Maatregelenregister: | Ja |
| Stedenbouwkundige bestemming: | Woongebied |
| Dagvaarding en herstelvordering: | Geen rechterlijke herstelmaatregel of bestuurlijke maatregel opgelegd |
| Overstromingsgevoelig: | Geen overstromingsgevoelig gebied |
| Overstromingsgebied: | Geen afgebakende zones |
| Overstromingskans perceel (P-score): | A |
| Overstromingskans gebouw (G-score): | A |
| Erfgoed: | Geen beschermd erfgoed |
Grondplannen
Documenten
Vergelijkbare panden
Misschien is dit ook iets voor u?
Niet gevonden wat u zocht?
Laat uw zoekcriteria achter en wij brengen u op de hoogte van ons nieuwste aanbod!
Vastgoed Luk & Horemans - Uw partner in Vastgoed sinds 1953.
Ik wens meer informatie over volgend pand:
Zeebrugge
8380
Mercatorstraat
3 box21
€ 57 500
Vertel een vriend
Zeebrugge
8380
Mercatorstraat
3 box21
€ 57 500
Plan uw bezoek
Zeebrugge
8380
Mercatorstraat
3 box21